Find your next home in San Diego
9240 Harness StSpring Valley, CA 91977



Mortgage Calculator
Monthly Payment (Est.)
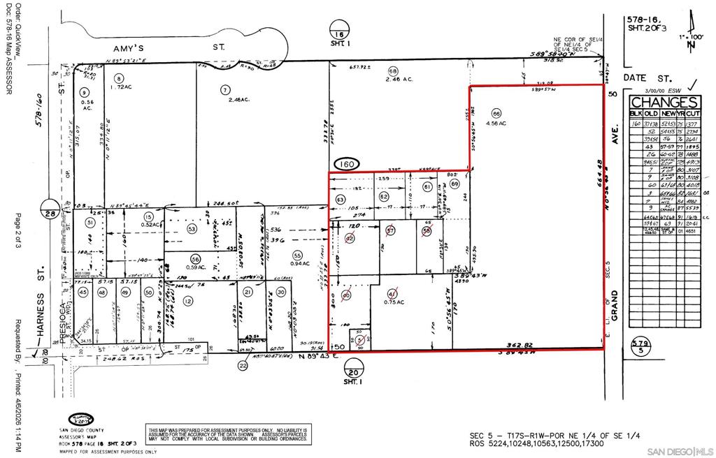
$10,037Prime Development Opportunity: 8 acres across 13 contiguous parcels in San Diego County, offering significant potential for subdivision and residential development. Preliminary discussions with the County indicate the possibility of up to 26 residential lots (approximately 6,000 sq. ft. each), presenting a compelling value-add opportunity for builders and investors. The property includes three existing tenant-occupied homes, all in poor condition and not up to current code standards. The offering is being sold for land value, providing a clean slate for redevelopment. While a portion of the site is impacted by open space easements and topography, there remains strong potential to maximize yield through thoughtful site planning and entitlements. Buyer to verify all information, including development potential, zoning, and approvals. Seller and broker make no guarantees The 13 parcels included in the sale are as follows: APN #1- 578-160-05-00 APN #2 - 578-160-40-00 APN #3- 578-160-41-00 APN #4- 578-160-42-00 APN #5- 578-160-57-00 APN #6- 578-160-58-00 APN #7- 578-160-61-00 APN #8- 578-160-62-00 APN #9- 578-160-63-00 APN #10- 578-160-66-00 APN #11- 578-160-69-00 APN #12- 578-160-71-00 APN #13 -578-160-72-00
| 19 hours ago | Listing updated with changes from the MLS® | |
| yesterday | Listing first seen on site |
This information is for your personal, non-commercial use and may not be used for any purpose other than to identify prospective properties you may be interested in purchasing. The display of MLS data is usually deemed reliable but is NOT guaranteed accurate by the MLS. Buyers are responsible for verifying the accuracy of all information and should investigate the data themselves or retain appropriate professionals. Information from sources other than the Listing Agent may have been included in the MLS data. Unless otherwise specified in writing, the Broker/Agent has not and will not verify any information obtained from other sources. The Broker/Agent providing the information contained herein may or may not have been the Listing and/or Selling Agent.

Did you know? You can invite friends and family to your search. They can join your search, rate and discuss listings with you.